ID:CF0033 売買 PROJECT 2010/12/8更新
川崎 田町 土地
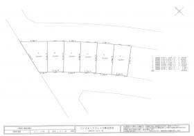
画像をクリックすると、実寸の画像が見れます。
所 在
川崎市川崎区田町3丁目
交 通
京浜急行大師線 「小島新田」駅 徒歩3分
土地面積
53.00u (16.03坪)〜58.00u (17.54坪) [実測]
地 目
宅地
権 利
所有権
取引形態
売主
コンフォートフェイス株式会社
〒221-0825 神奈川県横浜市神奈川区反町1-6-1川口ビル3F Tel.045(290)4333 Fax.045(290)4334
E-mail:info@comfort.ne.jp
URL:http://www.comfort.ne.jp/
Copyright (C) 2005 COMFORT FAITH All Rights Reserved.